大西洋三大飓风一起发飙 “罪魁祸首”是谁?
中新网9月11日电 据外媒报道,“艾尔玛”横扫加勒比后直冲佛罗里达,“何塞”(Jose)和“凯蒂亚”(Katia)仿佛也不甘示弱。过去这几天,三大飓风在大西洋一起发飙。
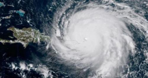
艾尔玛的强度令专家震惊,185英里的时速保持了33个小时以上,使其成为有记录以来持续时间最长、威力最大的飓风。
回顾8日,“何塞”被升级为4级飓风,以每小时140多英里的速度、踏着“艾尔玛”的足迹吹向那些刚刚遭受重创的地区。美国"国家飓风中心"(NHC)称何塞"极度危险",圣巴斯和圣马丁发布预警。

当地时间9月10日,飓风“艾尔玛”在古巴哈瓦那掀起巨浪。
第三个飓风凯蒂亚8日晚在墨西哥东部登陆。凯蒂亚在9日被降格为一级热带风暴,但是美国国家飓风中心仍然警告,它可能会带来强降雨,导致"山洪暴发、泥石流等威胁生命安全"的灾害,特别是在山区。墨西哥该地区还刚刚遭受本世纪以来最为严重的地震。
更加值得注意的是,所有这一切,都发生在飓风“哈维”刚刚施威两星期之后。哈维是得克萨斯州过去半个世纪以来经历的强度最大的飓风,造成极大破坏。
科罗拉多大学研究学者菲利普发推特说,"同时可见三个时速超过90英里的大西洋飓风,这是有记录以来的第四次。"
根据美国国家海洋和大气管理局(NOAA)的资料,上一次大西洋同时出现三个飓风是在2010年,它们分别为伊戈尔(Igor)、朱丽亚(Julia)和卡尔(Karl)。
但那一次朱丽亚并没有登陆的威胁,所以北美地区并未发布她的飓风警告。今年这回是第一次预警三大飓风可能同时登陆。
目前许多科学家都在思索的一个问题是,这样频繁、这样极端的飓风正常吗?有无特殊原因?

图片来源:NASA
污染降低?
飓风的生成需要温暖的水域、潮湿的大气等元素。
过去一些年,不少人怀疑极端气候现象的频发与污染导致全球变暖有关,不过,却有一种观点认为,飓风的增加或许与空气污染源减少有关。
威斯康辛大学国家海洋和大气管理局的飓风专家吉姆说,大西洋飓风季节受许多复杂因素影响,包括大规模洋流、空气污染—因为这通常会导致海水温度降低、以及气候变化。
普林斯顿大学环境研究所的地理学教授介绍,自从1990年代中期以来,大西洋进入"活跃期"。2013年到2016年相对平静,1960、70、80年代飓风也不多见。
他说,围绕飓风周期变化的原因科学界还存在争论,但有人认为,二战后工业污染急剧增加,或许导致更多颗粒阻挡太阳辐射,帮助海洋降了温。从而让飓风形成所需要的热量和湿度条件难以产生。他表示:"污染减少了飓风活动。"
进入1980年代,由于实施清洁空气法案等法规,污染减轻,阳光直射海面增强,导致海水升温,给风暴添了柴。
该地理学教授说,目前科学家之间争论的焦点是,对飓风的变化哪一个因素起的作用更大:洋流的变化还是污染的降低。两者都可以找到证据,但是下结论的数据不足,"我们不知道周期会持续多长,我们缺乏历史性数据。"
气候变暖 ?
宾州大学气候学家迈克则肯定,现在灾难性飓风的增多绝非巧合。
他说,过去几年,全球海洋表面温度是有记录以来最高的,同期出现以峰值风速保持时间来计算强度最大的飓风,不仅在南半球,也在北半球;不仅在太平洋,现在也在大西洋。"气候变化的冲击不再是温柔的。我们正在目睹它实时发飙。悲哀的是,过去几个星期就出现活生生的证据。"
厄尔尼诺?
迈阿密NBC电视网气象部主任约翰表示,今年这样的飓风发作频率确实不常见,或许只是"偶发"现象,但其它因素也有一定影响。
他说,今年没有厄尔尼诺现象。厄尔尼诺一般会增加太平洋风暴发生的频率,但是会减少大西洋的。此外,厄尔尼诺导致暖气流升到大气表层,"盖住了风暴的风头",阻止飓风具备艾尔玛这样的威力。
他也认为气候变化对飓风有影响。他说,全球变暖绝大部分由海洋担当。 "而海洋的温度很关键。温度越高,蒸发越多,湿度越大,"而"湿度是飓风的营养剂"、
尽管气象学家对气候变暖是否影响飓风的生成频率尚无共识,但根据他介绍,普遍认为,"气温升高后,飓风会更少、但威力会更大。"
换句话说,全球变暖并不一定导致更多飓风的生成,但会加大其强度。
大惊小怪?
另外一种说法则是,三大飓风同时生成没什么大惊小怪的。"气象公司全球预报中心"的卡德纳斯提醒,过往数据和观测无法证明近来威力更大的飓风更加频繁。
他说,根据国家飓风中心的历史记录,(大西洋中)同时有三个活跃飓风的现象确实罕见,但算不上特别罕见:大约每15年出现一次。
卡德纳斯还指出,除此之外,我们还要记住的一点是,在卫星成像技术出现之前,根本无法确切知道海洋上到底生成了多少飓风。
相关阅读:
- 大西洋飓风“艾玛”以4级风力登陆佛州 大面积断电2017-09-11
- 飓风“艾尔玛”破坏力强劲:起重机坠落 百万人撤离2017-09-11
- “艾尔玛”逼近美国佛州 再度增强为4级飓风2017-09-10
- 飓风“艾尔玛”扑向美南部 佛罗里达州严阵以待2017-09-10
- 飓风“艾玛”逼近美国佛州 1700万人将受影响2017-09-10








